Situação Legal do Imóvel: Lote regularizado e escriturado com registro no Cartório de Registro de Imóveis.
Descrição do Condomínio:
Condomínio de alto padrão, com infraestrutura urbana completa, conforto, segurança e lazer, localizado numa região especial em pleno desenvolvimento urbano do Distrito Federal, com topografia diferenciada, contendo lotes planos, em aclives ou declives, que proporcionam convivência com a natureza pela grande área verde particular pertencente ao condomínio, e ainda com vista panorâmica para a área de preservação ambiental permanente (APP), anexa ao condomínio.
Segurança: Portaria com controle de entrada de veículos por cancelas automatizadas, sistema de CFTV em todas as ruas, cerca elétrica em todo o perímetro do empreendimento, vigilância e ronda motorizada armada durante 24 horas.
Área de Lazer: Salão de Festas com terraço, piscinas aquecidas adulto e infantil, bar da piscina, academia de ginástica, saunas masculina e feminina, com churrasqueiras, quadras de tênis, quadras poliesportivas e parque infantil.
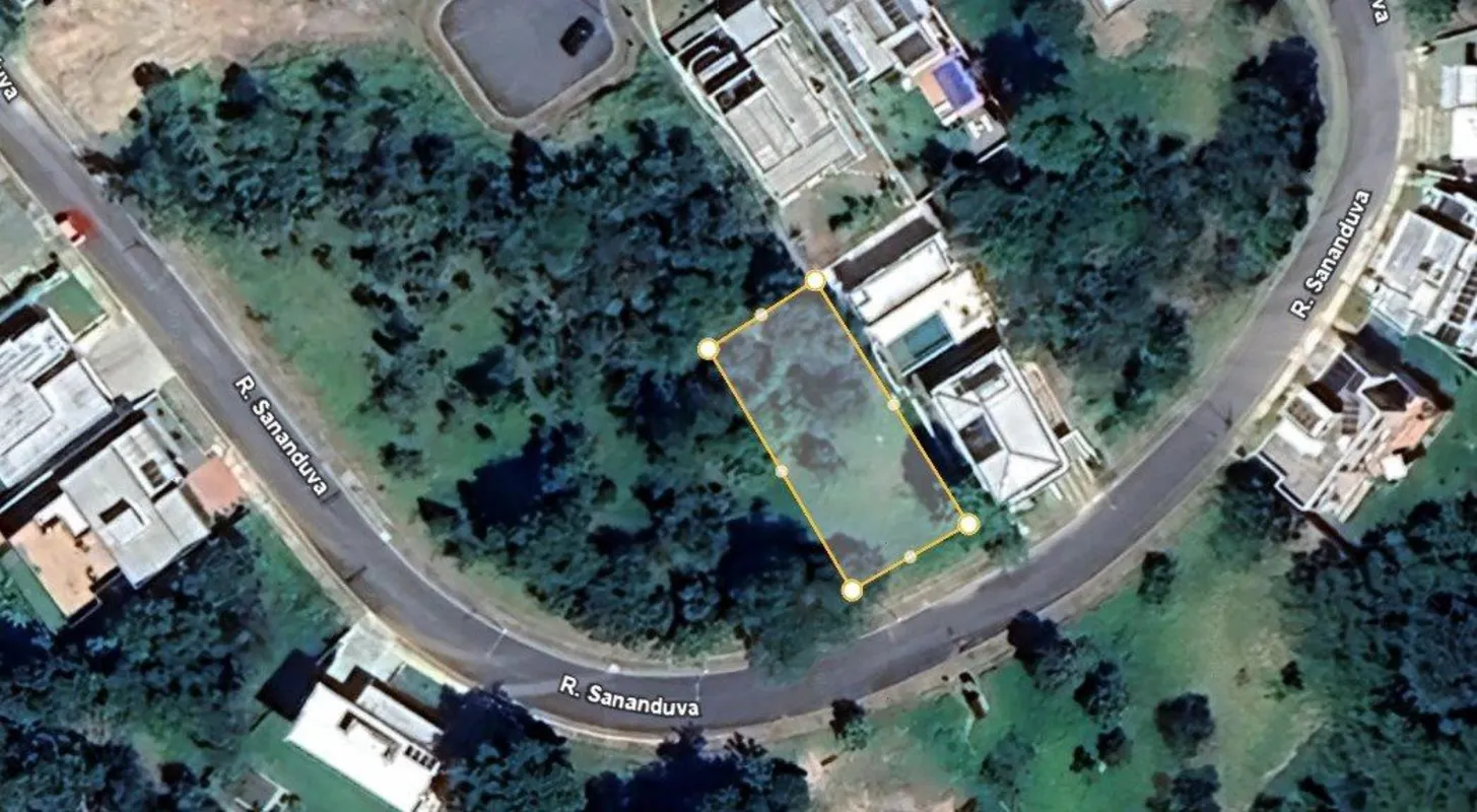
Características do Lote:
Lote com topografia em aclive em relação ao nível da rua, favorecendo construções com subsolo ou garagem no térreo e pavimentos superiores com vista. Possui área de 627,65 m², com vista. As construções vizinhas são casas modernas, bem implantadas, o que contribui positivamente para a valorização da área.
ATZ2025-10-22 16:50:
Ver mais
Características
Guarita
Interfone
Piscina
Quadra Esportiva
Sala de Ginástica
Ver mais
Algum problema com este imóvel?Critique esse anúncio
Não esqueça de informar que viu o imóvel 239056 no DFimoveis.com
Karla Terroso Imóveis
Creci: 19421
Simule seu crédito e aproveite os benefícios do Banco do Brasil
Aviso: A realização do financiamento estará sujeita à análise e aprovação, pelo Banco do Brasil, da situação cadastral do cliente e das condições de regularidade documental e estrutural do imóvel.
Envie sua crítica que iremos entrar em contato com o responsável pelo imóvel anunciado para que ele verifique e atualize a informação.
Solicitar Agendamento
Lembrando que deve ser solicitado com, no mínimo, 24 HORAS DE ANTECEDÊNCIA. Aguarde CONFIRMAÇÃO da visita
Enviar Proposta
Preencha o formulario para envio da sua proposta e aguarde um retorno.
Indicar este imóvel por E-mail
Envie as informações deste imóvel para alguém que você acredita que vai se interessar
Selo IMÓVEL SEGURO: O anunciante deste imóvel Karla Terroso Imóveis enviou ao a Certidão de Ônus do imóvel, o número de sua inscrição no IPTU e os CPF(s) ou CNPJ(s) do(s) proprietário(s). O Cartório, gratuitamente, emitiu e analisou as certidões necessárias para a concretização do negócio e constatou que NÃO existe restrição que impeça a lavratura da escritura pública. A análise não é a específica para financiamento imobiliário do imóvel.
Disclaimer (Aviso de ressalva legal):
1. O SELO IMÓVEL SEGURO não engloba a análise de eventuais débitos condominiais que, por não terem sido consultados, deverão ser verificados pelo interessado antes do fechamento do negócio.
2. É do CORRETOR DE IMÓVEIS e da IMOBILIÁRIA a responsabilidade técnica pela intermediação de negócios imobiliários, nos termos da legislação aplicável.
3. O somente se responsabiliza pela análise dos documentos e informações que foram efetivamente submetidos à sua análise e que são requisitos à lavratura da competente escritura pública, não se responsabilizando por quaisquer outras informações ou restrições que possam impedir a negociação do imóvel.
4. O DFimoveis.com é provedor de conteúdo de terceiros, nos termos da Lei nº 12.965/2014, não se responsabilizando por qualquer informação divulgada pelos CORRETORES e IMOBILIÁRIAS ou por eles repassadas ao , nem pela concessão ou negativa de concessão do selo.
Antes de continuar…
Informe seus dados para um atendimento rápido e personalizado.
Usamos cookies para personalizar, coletar dados e melhorar sua experiência em nosso site. Ao continuar navegando, entendemos que você está ciente e concorda com nossa Política de Privacidade e Política de Cookies.